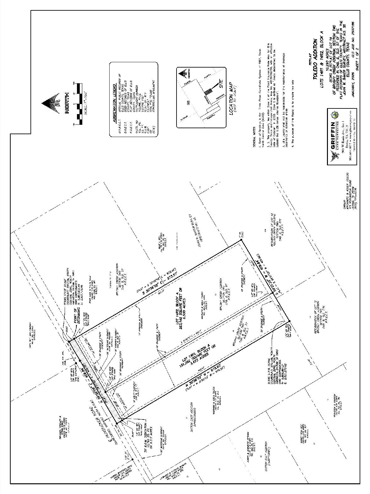
The Ellis County Commissioners' Court will consider and act upon a plat application for Toledo Addition, Lots 14R1 & 14R2, Block A, being a replat of Lot 14, Brushy Creek Addition, Section Two, to create one (1) additional lot for a total of two (2) lots. The ± 10.29-acre site is located ± 595 feet southwest of the intersection of Hunsucker Road and Palmyra Road, in the extraterritorial jurisdiction (ETJ) of the City of Red Oak, Road and Bridge Precinct No. 1. A copy of the replat request is shown below.
This replat will be presented before the Commissioners' Court on Tuesday, March 17th, 2026, at 2:00 PM on the second floor of the historic Ellis County Courthouse, 101 West Main Street, Waxahachie, TX. 75165. Please direct any questions to the Department of Development at 972-825-5200, or by email at dod@elliscountytx.gov.