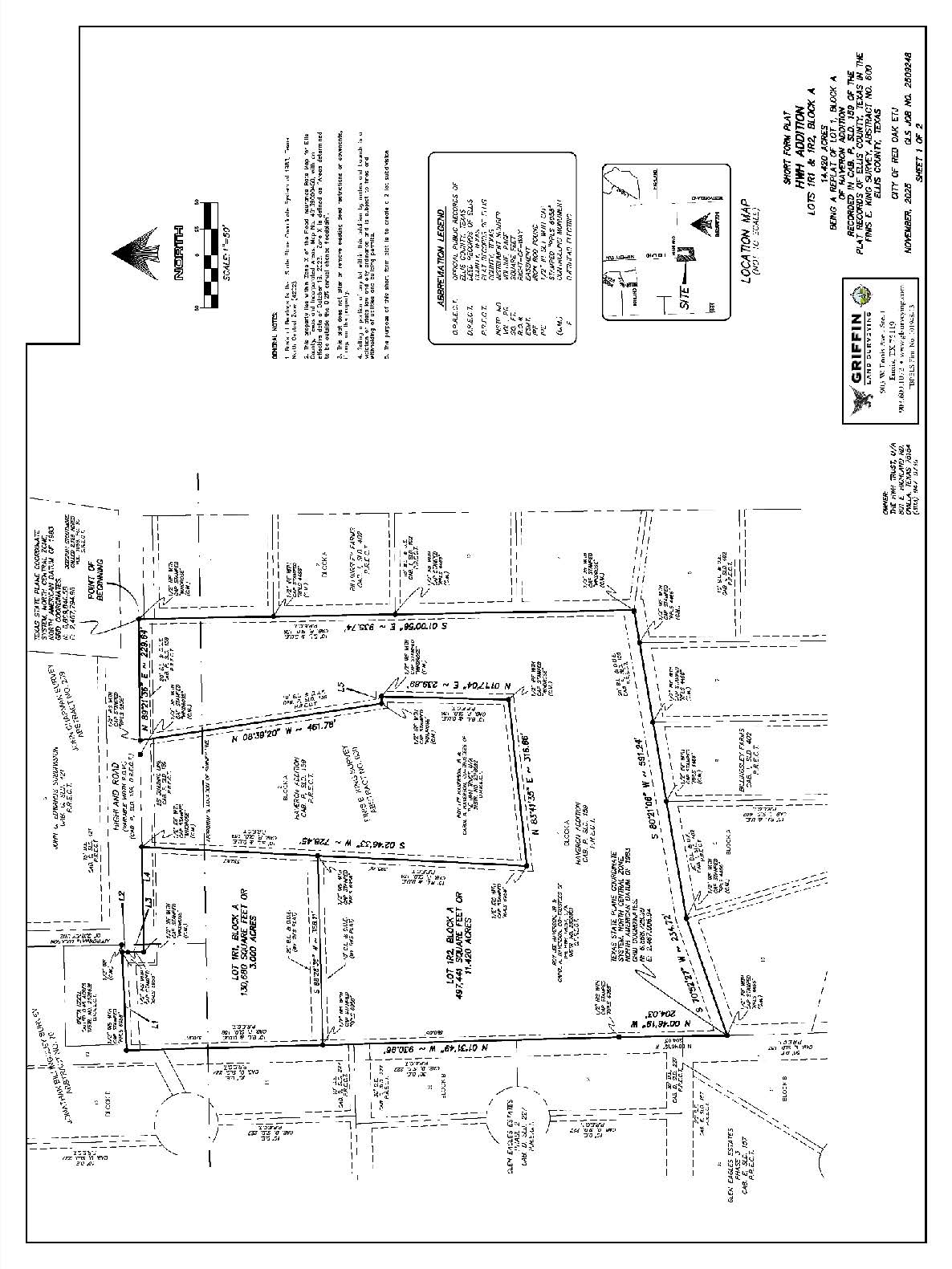
The Ellis County Commissioners' Court will consider and act upon a plat application for HWH Addition, Lots 1R1 & 1R2, Block A, being a replat of Lot 1, Block A, Haveron Addition, to create one (1) additional lot for a total of two (2) lots. The ± 14.420-acre site is located ± 2,020 feet west of the intersection of East Highland Road and Westmoreland Road, in the extraterritorial jurisdiction (ETJ) of the City of Ovilla, Road and Bridge Precinct No. 4. A copy of the replat request is shown below.

This replat will be presented before the Commissioners' Court on Tuesday, January 20th, 2026, at 2:00 PM on the second floor of the historic Ellis County Courthouse, 101 West Main Street, Waxahachie, TX. 75165. Please direct any questions to the Department of Development at 972-825-5200, or by email at dod@elliscountytx.gov.